Die Bahn AG hat den Bau von Fahrradabstellplätze an den Haltepunkten in Trachau und Pieschen erneut verschoben. Ursprünglich sollten sie schon 2019 errichtet werden, wurden dann für dieses Jahr angekündigt. Nunmehr soll es 2021 soweit sein, heißt es in dem erneut korrigierten Zeitplan der Bahn AG. „Bei erfolgreicher Vergabe der Bauleistungen werden die Anlagen voraussichtlich von Januar bis Herbst 2021 errichtet.“ Diese Information der Bahn hat Umweltbürgermeisterin Eva Jähnigen (Grüne) im Oktober an alle Stadträte weitergeleitet. 
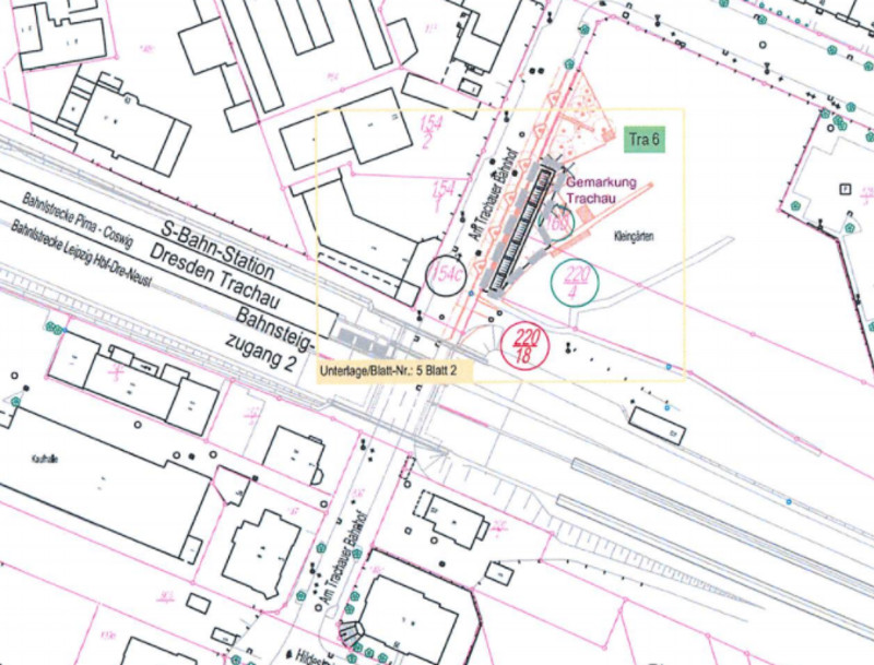
Immerhin gibt es jetzt konkrete Lagepläne für die Abstellplätze. Besonders für Trachau war dies lange Zeit unklar. Die hier vorgesehenen 44 überdachten Abstellplätze sollen entlang der Straße Am Trachauer Bahnhof vor den Kleingärten errichtet werden. Am Haltepunkt Pieschen ist ein dreieckförmiges Areal gegenüber vom Aufgang zur S-Bahn an der Riesaer Straße geplant. Die überdachte Anlage soll hier Platz für 32 Fahrräder bieten. In beiden Fällen, so die Planungsunterlagen, betrage die Entfernung vom Abstellplatz bis zum Haltepunkt-Aufgang weniger als 50 Meter. Sowohl in Trachau als auch in Pieschen muss allerdings auf dem Weg zwischen Abstellplatz und Haltepunkt die Straße überquert werden. 
Die Errichtung der Fahrradabstellanlagen ist Bestandteil des bereits 2005 verabschiedeten Planfeststellungsbeschlusses und der 2016 abgeschlossenen Sanierung der beiden Haltepunkte. SPD-Stadtrat Stefan Engel erneuerte darum seine Kritik an der Vorgehensweise der Bahn. „Es ist unverständlich, warum die Realisierung von Fahrradabstellplätzen an den beiden S-Bahnhöfen so lange dauert, obwohl sie schon immer Teil der Planungen waren“, sagte er. Von sicheren Abstellplätzen würden Radverkehr und S-Bahn gleichermaßen profitieren. Wer weniger Autoverkehr will, müsse die Alternativen attraktiver machen, fügt er hinzu.
In einer im Sommer 2020 vorgelegten Studie des Allgemeinen Deutschen Fahrrad-Clubs (ADFC) Sachsen zum Fahrradparken an Bahnhöfen hatten die Haltepunkte in Pieschen und Trachau mit der Note 6 besonders schlecht abgeschnitten. 521 Bahnhöfe in Sachsen hatte der ADFC unter die Fahrrad-Lupe genommen. Dresdens Bahnhöfe wurden in der Studie mit den Schulnoten 5 oder 6 bedacht und lagen damit deutlich unter dem sächsischen Notendurchschnitt von ebenfalls nicht berauschenden 4,5.





